Closed Zoning Cases
Closed Applications
| Case No. | Description | Hearing Date | Decision | Files |
|---|---|---|---|---|
| CZ-1-2023 | Application from Morris Long requesting a conditional district zoning map amendment from Central Business Transitional (CBT) to Transitional Infill Development (TID) for the purpose of building four duplex units on 0.733 acres of land. The subject property is located at the northwest corner of North Flint Street and East Main Street (Parcel ID 00670). | 03.02.2023 | Denied | Site Plan |
| ZMA-1-2023 | Application from JJW Properties, LLC requesting the rezoning of 0.403 acres of land from Residential-10 (R-10) to Residential-8 (R-8). The subject property is located on the east side of North Cedar Street approximately 125 feet north of the intersection of North Cedar Street and East Dixon Street (Parcel ID 17871). | 03.02.2023 | Denied | Staff Report |
| BOA-1-2023 | Application from Carolina Elite Builders requesting a variance of Section 153.108 of the Lincolnton Unified Development Ordinance (minimum side yard setbacks R-15 District). The minimum corner-side yard setback is 20 feet in the R-15 District. The applicant is proposing to build a single-family home and requesting a reduction of 10 feet to the side setback. | 02.21.2023 | Approved |
Staff Report |
| ZMA-2-2023 | Application from Carolina Elite Builders requesting the rezoning of 11.844 acres of land from General Manufacturing and Commercial (GMC) to Residential-25 (R-25). The subject property is located at the southwest corner of South Grove Street Ext. and Burris Blvd. (Parcel ID 52489). | 04.06.23 | Approved |
Staff Report |
| BOA-2-2023 | 4. BOA-2-2023- Application from Ginger Fearn requesting a variance of UDO Section 153.107 (Parcel ID 21035). | 04.18.2023 | Approved |
Staff Report |
| BOA-3-2023 | Application from Mark Ingle requesting a variance of UDO Section 153.107 | 05.16.2023 | Approved |
Staff Report |
| CZ-2-2023 | Application from Adam Jacob Whitener requesting a Conditional District Rezoning of 2.39 acres of land from Planned Business (PB) District to General Business Conditional District (GB-CD).
|
06.01.2023 | Approved | Staff Report |
| CZ-3-2023 | Application from Carolina Elite Builders, LLC requesting a Conditional District Rezoning of 11.84 acres of land from General Manufacturing and Commercial (GMC) District to Residential-25 Conditional District (R-25 CD). | 06.01.2023 | Approved |
Staff Report |
| CZ-4-2023 | Application from Carolina Elite Builders, LLC requesting a Conditional District Rezoning of 10.637 acres of land from General Manufacturing and Commercial (GMC) District to Residential-25 Conditional District (R-25 CD). | 06.29.2023 | Approved | Site Plan |
| CZ-5-2023 | Application from Bean Brothers Real Estate LLC requesting revisions to an approved conditional zoning plan (CZ-10-22). | 06.29.2023 | Denied | Staff Report |
| BOA-4-2023 | Application from Wesley Shane Huss requesting a variance of section 153.050 of the Unified Development Ordinance, Lots to Abut a Dedicated Street (Parcel ID 25846). | 07.18.2023 | Approved |
Staff Report |
| CZ-6-2023 | Application from Carolina Elite Builders requesting a conditional district rezoning of 0.139 acres of land to R-8 CD (Parcel ID 20471). | 08.03.2023 | Approved | Staff Report |
| CZ-7-2023 | Application from Tracy Calhoun requesting a conditional district rezoning of 0.519 acres of land to R-O CD (Parcel ID 20343). | 08.03.2023 | Approved | Staff Report |
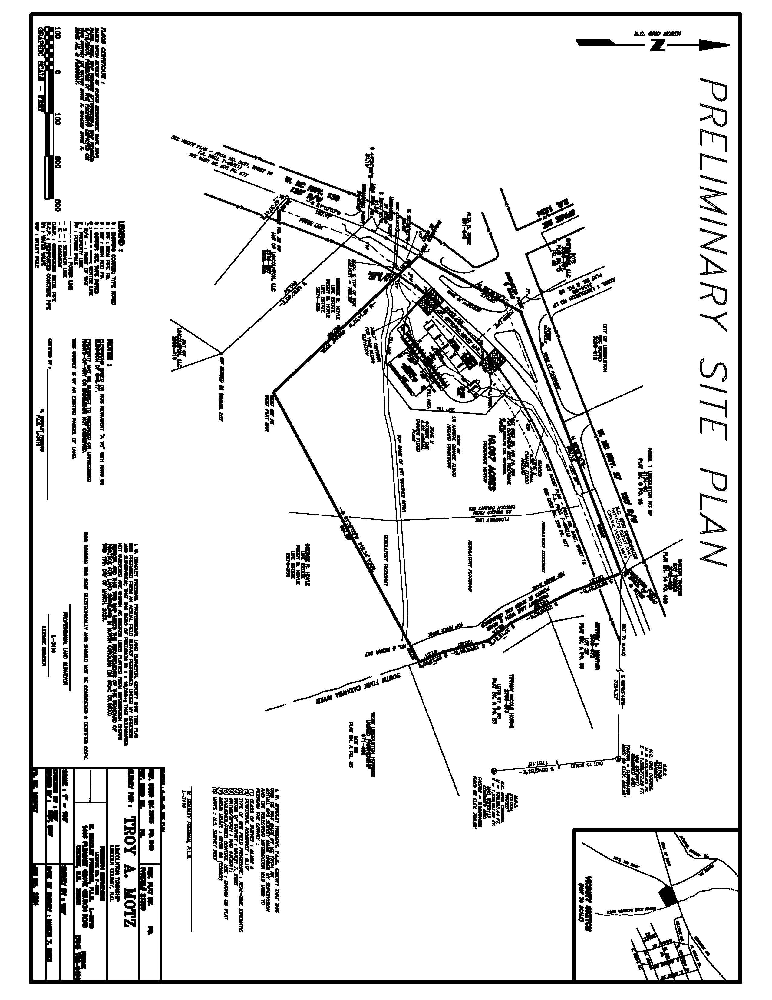
| CZ-8-2023 | Application from Troy Motz requesting a conditional district rezoning of 8.5 acres of land to GB-CD (Parcel ID 21380). | 08.03.2023 | Approved |
Staff Report |
| BOA-5-2023 | Application from Debbie Carpenter requesting a variance of section 153.136 (G) of the Unified Development Ordinance. The subject property is located at 104 Turner St (Parcel ID 89498). | 08.15.2023 | Denied |
Staff Report |
| BOA-6-2023 | Application from Tracy Calhoun requesting a variance of UDO Section 153.186 (B) (Driveways) for the purpose of constructing a new commercial driveway less than 24 feet in width. The subject property is located at 502 North Aspen Street (Parcel ID 20243). | 09.18.2023 | Approved |
Staff Report |
| CZ-9-2023 | Application from Edward McFadden, D-Experience LLC, requesting the conditional zoning of 0.361 acres from Residential-10 (R-10) District to Office-Institutional (O-I) District for the purpose of reusing the existing building as a daycare center. The subject property is located at 416 Louise Avenue (Parcel ID 01233). | Applicant pulled case prior to hearing |
N/A | Staff Report |
| CZ-10-2023 | Application from Bob Lewis requesting the rezoning of 0.834 acres of land from Residential-10 (R-10) District to Transitional Infill Development (TID) District for the purpose of constructing eight townhomes. The subject properties are located on south side West Main Street Ext approximately 400 feet west of the intersection of West Main Street Ext. and Riverside Drive (Parcel ID’s 71202 and 104070). |
11.02.2023 | Denied | Staff Report |
| ZMA-4-2023 | Application from Windfall Properties, LLC requesting the rezoning of 0.319 acres of land from Office Institutional (O-I) District to General Business (GB) District. The subject property is located 849 South Laurel Street (Parcel ID 17504) | 11.02.2023 |
Approved | Staff Report |
| CZ-11-2023 | Application from Chris Brogden of The Millukie Company LLC requesting a conditional district rezoning of 0.731 acres of land from R-O to the CB (CD) district for the purpose of creating a multi-use gathering facility including food trucks, outdoor dining, offices, and retail. The subject property is located at the northeast corner of East Pine Street and North Poplar Street. The address is 300 North Poplar Street (Parcel ID 53652).
|
12.07.2023 | Approved | Staff Report |
| CZ-12-2023 | Application from John Sullivan requesting a conditional district rezoning of 0.627 acres of land from NB-CU to GMC (CD) district to construct a meat processing facility. The subject property is located on the east side of Startown Road, approximately 800 feet north of the intersection of Startown and Reepsville Road (Parcel ID 94076).
|
12.07.2023 | Approved | Staff Report |
| CZ-13-2023 | Application from Jonathan Hoyle requesting a conditional district rezoning of 3.05 acres of land from GMC to TID district to construct a housing development. The subject property is located on the east side of South Edwards Street, approximately 450 feet south of the intersection of South Edwards Street and East Main Street (Parcel ID 00621).
|
03.07.2024 | Approved | Staff Report |
| CZ-1-2024 | Application from True Homes, LLC, requesting the Conditional Rezoning of 45.6 acres of land from O-I and R-15 Districts to the Planned Residential Development (PRD) District to construct 180 townhomes. The subject property lies south of East Gaston Street and west of U.S. Highway 321 (Parcel ID 89926). (See attached plan)
|
05.02.2024 | Denied | |
| CZ-2-2024 | Application from Morris Long requesting a conditional district zoning map amendment from Central Business Transitional (CBT) to Transitional Infill Development (TID) to build four duplex units on 0.733 acres of land. The subject property is located at the northwest corner of North Flint Street and East Main Street (Parcel ID 00670). | 03.07.2024 | Approved | Staff Report |
| CZ-3-2024 | CZ-3-2024 Application from Olga R. Epple requesting a conditional district rezoning of approximately 71.20 acres of land from R-8, R-15, and RMF to Planned Residential District (PRD) to develop a residential community consisting of 80 single-family detached dwellings and 107 townhomes. The subject property is located along Wilma Sigmon Rd, Mull Rd, U.S. Highway 321, and the end of Mallory Tai Drive (adjacent to Lincoln Meadows Subdivision). (Parcel ID 01047, 17645, and a portion of 01049). | 03.07.2024 | Approved | Staff Report |
| ZMA-1-2024 | Application from Christopher Kilby, Kilby Ventures, requesting the rezoning of 0.10 acres from the Residential Office (R-O) District to the Central Business (C-B) District. The subject property is located at 125 W Water St (Parcel ID 00510). | 05.02.2024 | Approved | Staff Report |
| ZMA-2-2024 | Application from Rayna & Robert Brakefield requesting the rezoning of 0.803 acres from the Office Institutional (O-I) District to the Rural Residential (R-25) District. The subject property is located at 442 Buffalo Shoals Rd (Parcel ID 26134). | 05.02.2024 | Approved | Staff Report |